Unser Angebot
*Verkauft* Braunschweig - Wendeburg Ein / Zweifamilienhaus plus 488 m² Baugrundstück
Daten zu diesem Angebot
| Nutzungsart | Wohnen |
| Vermarktungsart | Kauf |
| Objektart | Haus |
| Objekttyp | Einfamilienhaus |
| PLZ | 38176 |
| Ort | Wendeburg / Zweidorf |
| Land | Deutschland |
| Befeuerung | Öl |
| Heizungsart | Zentralheizung |
| Etagenzahl | 3 |
| Stellplatzart | Garage |
| Balkon/Terrasse | Ja |
| Kabel Sat TV | Ja |
| Dachform | Satteldach |
| Bauweise | Massiv |
| Baujahr | 1961 |
| Zustand | Renovierungsbedürftig |
| Wohnfläche | 160 m² |
| Nutzfläche | 80 m² |
| Grundstücksgröße | 905 m² |
| Anzahl Zimmer | 8 |
| Anzahl Schlafzimmer | 4 |
| Anzahl Badezimmer | 2 |
| Anzahl Stellplätze | 1 |
| Kaufpreis | 339.000 € |
| Außen-Provision | 3,57 % inkl. 19 % MwSt. anteilige Maklerprovision |
| Währung | € |
Detailberichte zu diesem Objekt
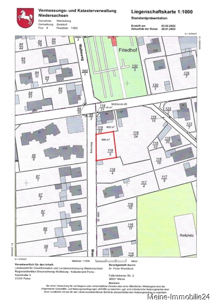
Objektbeschreibung Verkauft werden soll ein Ein / Zweifamilienhaus in Braunschweig - Wendeburg OT Zweidorf. Das Haus wurde 1961 gebaut. Zu diesem Haus gehöhren 2 Grundstücke: 1. Grundstück ist mit einem Haus bebaut und hat ein Grundstück mit 417 m² sowie ein 2. Grundstück mit 488 m². Das 1. Grundstück ( 417 m² = Flurstück 118/21 - 8m² und 118/22 - 409 m² ) mit dem Haus soll für 269.000,- € verkauft werden.
Das 2. Grundstück mit 488 m² ( Flurstück 118/5 - 488 m² ) soll als Baugrundstück für 70.000,- € verkauft werden.
Da es sich hier um 2 ( bzw. 3 ) eigene Flurstücke handelt, ist die Teilung sehr einfach möglich.
1. Haus mit Grundstück
Somit wird hier ein Ein / Zweifamilienhaus mit 160 m² Wohnfläche und 80 m² Nutzfläche im Untergeschoss sowie eine Garage mit Schuppenbereich und einem Stellplatz neben der Garage mit dem Grundstück von 414 m² für gesamt 269.000,- € angeboten.
2. Baugrundstück
Weiter wird ein Baugrundstück mit 488 m² Grundfläche für 70.000,- € angeboten.
Ein großes Bauträgerunternehmen in Braunschweig hat sich die Situation mit dem Baugrundstück vor Ort angesehen und würde Ihnen bei der Planung und Umsetzung Ihres späteren Bauvorhabens gern behilflich sein.
Es wird nur beides zusammen verkauft, bei Bedarf auch in 2 Kaufverträgen. Lage der Immobilie Das Ein/Zweifamilienhaus befindet sich in Braunschweig - Wendeburg OT Zweidorf.
Wendeburg bietet alles was zum täglichen Leben benötigt wird. Im Aue-Einkaufszentrum finden Sie Anbieter wie Aldi, Rewe, und auch Bäcker, Fleischer und vieles mehr. Ein Schulzentrum, Kindergärten, Ärzte, Banken, Gaststätten, Tankstelle, Baumarkt, Edeka, Aldi, Rewe, diverse Sportvereine und auch ein Freibad.
Es gibt auch eine Busverbindung 560 nach Braunschweig - Rathaus, die Haltestelle ist in einer Nachbarstraße und somit nur ein paar Meter entfernt.
Weitere Informationen unter der Infoseite www.wendeburg.de Ausstattung - Ein / Zweifamilienhaus
- Baujahr 1961
- Grundstück zum Haus 414 m²
- 160 m² Wohnfläche
- 80 m² Nutzfläche im Souterrain
- renovierungsbedürftig
- Garage
- Stellplatz neben der Garage
- Schuppen neben der Garage
- Budderus Oel-Heizung Bj. 2001
- Warmwasserspeicher 150 l. Bj. 2018
- Bad EG saniert 2010
- Bad OG teilsaniert 2010
- Fenster fast alle schon getauscht
- Elektro saniert im OG und KG ca. 1985 ( Fi-Schalter vorhanden )
EG - 92 m² Wohnfläche
- 4 Wohnräume im EG
- Küche im EG
- Bad im EG
- Abstellraum im EG
- großer Eingangsbereich / Flur im EG
- großer überdachter Balkon im EG
OG - 68 m² Wohnfläche
- 4 Schlafzimmer im OG
- Bad im OG
- großer Flur im OG
UG - 80 m² Nutzfläche
- Untergeschoss 3 Räume
- Oelkeller
- Heizungskeller
- Wintergarten 16,30 m²
- WC im Keller Sonstige Angaben Sie möchten eine ähnliche Immobilie verkaufen oder vermieten ?
Rufen Sie uns an. Tel.:05304-9440598
Das 2. Grundstück mit 488 m² ( Flurstück 118/5 - 488 m² ) soll als Baugrundstück für 70.000,- € verkauft werden.
Da es sich hier um 2 ( bzw. 3 ) eigene Flurstücke handelt, ist die Teilung sehr einfach möglich.
1. Haus mit Grundstück
Somit wird hier ein Ein / Zweifamilienhaus mit 160 m² Wohnfläche und 80 m² Nutzfläche im Untergeschoss sowie eine Garage mit Schuppenbereich und einem Stellplatz neben der Garage mit dem Grundstück von 414 m² für gesamt 269.000,- € angeboten.
2. Baugrundstück
Weiter wird ein Baugrundstück mit 488 m² Grundfläche für 70.000,- € angeboten.
Ein großes Bauträgerunternehmen in Braunschweig hat sich die Situation mit dem Baugrundstück vor Ort angesehen und würde Ihnen bei der Planung und Umsetzung Ihres späteren Bauvorhabens gern behilflich sein.
Es wird nur beides zusammen verkauft, bei Bedarf auch in 2 Kaufverträgen. Lage der Immobilie Das Ein/Zweifamilienhaus befindet sich in Braunschweig - Wendeburg OT Zweidorf.
Wendeburg bietet alles was zum täglichen Leben benötigt wird. Im Aue-Einkaufszentrum finden Sie Anbieter wie Aldi, Rewe, und auch Bäcker, Fleischer und vieles mehr. Ein Schulzentrum, Kindergärten, Ärzte, Banken, Gaststätten, Tankstelle, Baumarkt, Edeka, Aldi, Rewe, diverse Sportvereine und auch ein Freibad.
Es gibt auch eine Busverbindung 560 nach Braunschweig - Rathaus, die Haltestelle ist in einer Nachbarstraße und somit nur ein paar Meter entfernt.
Weitere Informationen unter der Infoseite www.wendeburg.de Ausstattung - Ein / Zweifamilienhaus
- Baujahr 1961
- Grundstück zum Haus 414 m²
- 160 m² Wohnfläche
- 80 m² Nutzfläche im Souterrain
- renovierungsbedürftig
- Garage
- Stellplatz neben der Garage
- Schuppen neben der Garage
- Budderus Oel-Heizung Bj. 2001
- Warmwasserspeicher 150 l. Bj. 2018
- Bad EG saniert 2010
- Bad OG teilsaniert 2010
- Fenster fast alle schon getauscht
- Elektro saniert im OG und KG ca. 1985 ( Fi-Schalter vorhanden )
EG - 92 m² Wohnfläche
- 4 Wohnräume im EG
- Küche im EG
- Bad im EG
- Abstellraum im EG
- großer Eingangsbereich / Flur im EG
- großer überdachter Balkon im EG
OG - 68 m² Wohnfläche
- 4 Schlafzimmer im OG
- Bad im OG
- großer Flur im OG
UG - 80 m² Nutzfläche
- Untergeschoss 3 Räume
- Oelkeller
- Heizungskeller
- Wintergarten 16,30 m²
- WC im Keller Sonstige Angaben Sie möchten eine ähnliche Immobilie verkaufen oder vermieten ?
Rufen Sie uns an. Tel.:05304-9440598
Ihr Ansprechpartner
Meine-Immobilie24
Herr Martin Peithmann
Essenroder Straße 23
38527 Meine
Kontakt zu Martin Peithmann
Mobil: 0160-8263616
Telefon: 0160-8263616
Kontakt im Internet
Schreiben Sie mir eine E-Mail
Website des Unternehmens
Weitere Informationen
| externe Objnr | JM026 |
| Dist. Autobahn (km) | 5 km |
| Dist. Kindergarten (km) | 2 km |
| Dist. Grundschule (km) | 2 km |
| Dist. Realschule (km) | 2 km |
| Dist. Gymnasium (km) | 2 km |
| Dist. Zentrum (km) | 10 km |

































